





Comision 0% Teren pregătit pentru dezvoltare rezidențială
Chinteni
425.000€
- ID:P257915
- S. teren:5417.00 mp
- Front stradal:125.00 m
- Nr. fronturi:2
- Clasificare teren:Intravilan
- Regim inaltime:D+P+1
Descriere
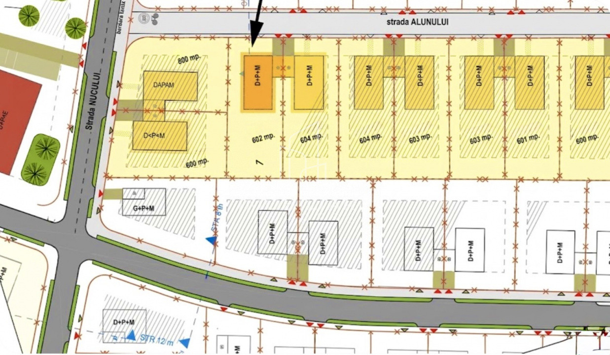
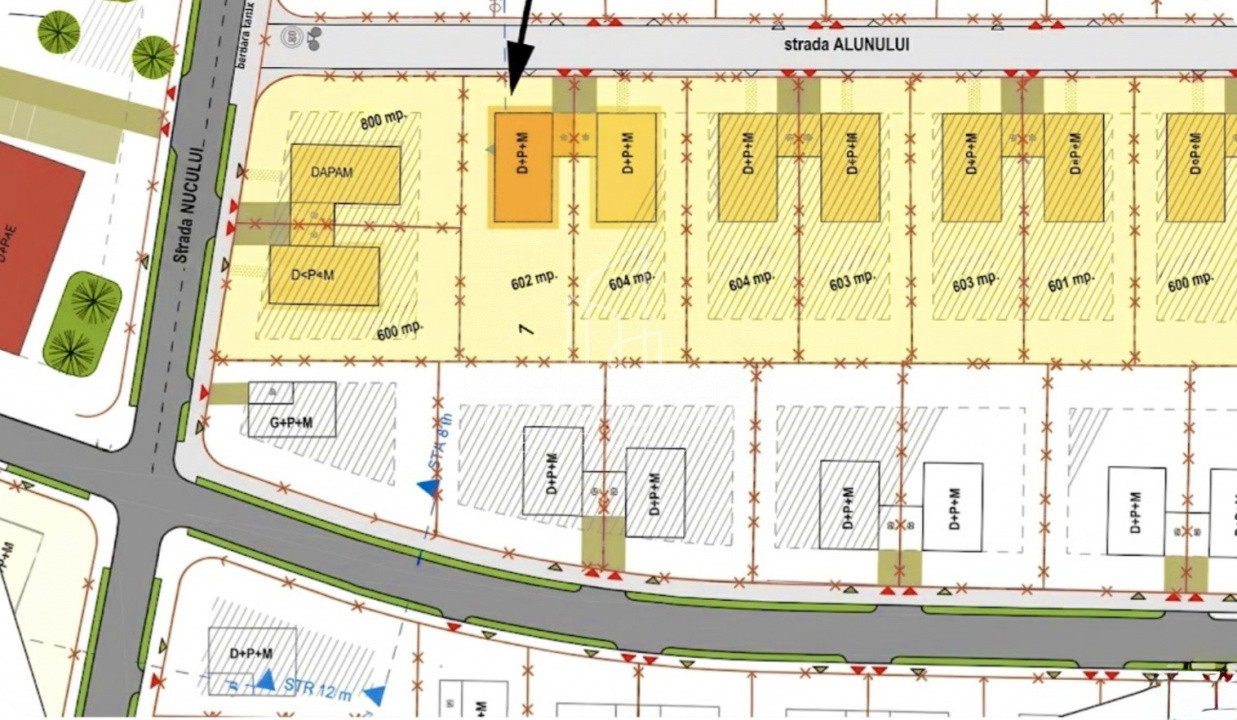
Teren pentru dezvoltare rezidențială | 5.417 mp | Deschidere dublă | PUZ „Sub Plopi” | Chinteni – Cluj | Comision 0%
În una dintre cele mai dinamice direcții de dezvoltare ale zonei metropolitane Cluj, în Chinteni – zona „Sub Plopi”, vă prezentăm o oportunitate rară pentru dezvoltatori: teren intravilan cu suprafață totală de 5.417 mp, situat strategic imediat după intrarea în localitate, cu acces facil din drumul principal, în proximitatea magazinului Profi.
Zona este deja conturată ca pol rezidențial nou, cu proiecte în curs de dezvoltare și infrastructură în extindere, ceea ce oferă cadrul ideal pentru un proiect rezidențial coerent și valoros.
Suprafață totală: 5.417 mp
Deschidere dublă: aproximativ 40 m / 125 m
Localizare: Chinteni – zona „Sub Plopi”, la câteva minute de Cluj-Napoca
Un avantaj major este faptul că terenul este deja parcelat, iar documentația aferentă a fost întocmită și depusă, ceea ce reduce semnificativ timpul de pregătire pentru dezvoltare.
În plus, procedura pentru aducerea utilităților la limita de proprietate este deja demarată, facilitând etapizarea rapidă a proiectului.
Reglementări urbanistice (PUZ „Sub Plopi” aprobat)
Regimul urbanistic permite dezvoltarea unei zone rezidențiale echilibrate:
• Regim de înălțime: D+P+M sau D+P+1E
• POT maxim: 35%
• CUT maxim: 0,9
Acești indicatori permit realizarea unui proiect rezidențial generos, cu un raport optim între suprafața construită și spațiile verzi.
Potențial de dezvoltare
Dimensiunea terenului, forma și deschiderea dublă creează premise excelente pentru:
parcelare pentru locuințe individuale
dezvoltarea unui ansamblu rezidențial coerent
proiect investițional cu randament bun, într-o zonă aflată în plină expansiune.
Configurația terenului permite organizarea unui masterplan eficient, cu accesuri bine gândite și parcele optim dimensionate.
Avantaje competitive
✔ Deschidere dublă (40 m / 125 m) – flexibilitate în proiectare
✔ Teren deja parcelat – economie de timp în etapa de dezvoltare
✔ Documentație urbanistică pregătită și depusă
✔ Demersuri inițiate pentru utilități la limita proprietății
✔ Zonă rezidențială nouă, în plină dezvoltare
✔ Acces rapid spre Cluj-Napoca
Pentru cine este această proprietate
Această proprietate se adresează în special:
• dezvoltatorilor rezidențiali care caută un teren compact, bine reglementat urbanistic
• investitorilor interesați de proiecte în zone emergente din proximitatea Clujului
• constructorilor care urmăresc dezvoltarea unui ansamblu de locuințe.
La cerere putem pune la dispoziție:
• planul parcelar
• documentația urbanistică completă
• detalii privind stadiul utilităților.
Comision 0% pentru cumpărător.
Dacă doriți să discutăm despre potențialul de dezvoltare al terenului sau scenarii de proiect, vă stăm cu plăcere la dispoziție.
Citeste mai mult
În una dintre cele mai dinamice direcții de dezvoltare ale zonei metropolitane Cluj, în Chinteni – zona „Sub Plopi”, vă prezentăm o oportunitate rară pentru dezvoltatori: teren intravilan cu suprafață totală de 5.417 mp, situat strategic imediat după intrarea în localitate, cu acces facil din drumul principal, în proximitatea magazinului Profi.
Zona este deja conturată ca pol rezidențial nou, cu proiecte în curs de dezvoltare și infrastructură în extindere, ceea ce oferă cadrul ideal pentru un proiect rezidențial coerent și valoros.
Suprafață totală: 5.417 mp
Deschidere dublă: aproximativ 40 m / 125 m
Localizare: Chinteni – zona „Sub Plopi”, la câteva minute de Cluj-Napoca
Un avantaj major este faptul că terenul este deja parcelat, iar documentația aferentă a fost întocmită și depusă, ceea ce reduce semnificativ timpul de pregătire pentru dezvoltare.
În plus, procedura pentru aducerea utilităților la limita de proprietate este deja demarată, facilitând etapizarea rapidă a proiectului.
Reglementări urbanistice (PUZ „Sub Plopi” aprobat)
Regimul urbanistic permite dezvoltarea unei zone rezidențiale echilibrate:
• Regim de înălțime: D+P+M sau D+P+1E
• POT maxim: 35%
• CUT maxim: 0,9
Acești indicatori permit realizarea unui proiect rezidențial generos, cu un raport optim între suprafața construită și spațiile verzi.
Potențial de dezvoltare
Dimensiunea terenului, forma și deschiderea dublă creează premise excelente pentru:
parcelare pentru locuințe individuale
dezvoltarea unui ansamblu rezidențial coerent
proiect investițional cu randament bun, într-o zonă aflată în plină expansiune.
Configurația terenului permite organizarea unui masterplan eficient, cu accesuri bine gândite și parcele optim dimensionate.
Avantaje competitive
✔ Deschidere dublă (40 m / 125 m) – flexibilitate în proiectare
✔ Teren deja parcelat – economie de timp în etapa de dezvoltare
✔ Documentație urbanistică pregătită și depusă
✔ Demersuri inițiate pentru utilități la limita proprietății
✔ Zonă rezidențială nouă, în plină dezvoltare
✔ Acces rapid spre Cluj-Napoca
Pentru cine este această proprietate
Această proprietate se adresează în special:
• dezvoltatorilor rezidențiali care caută un teren compact, bine reglementat urbanistic
• investitorilor interesați de proiecte în zone emergente din proximitatea Clujului
• constructorilor care urmăresc dezvoltarea unui ansamblu de locuințe.
La cerere putem pune la dispoziție:
• planul parcelar
• documentația urbanistică completă
• detalii privind stadiul utilităților.
Comision 0% pentru cumpărător.
Dacă doriți să discutăm despre potențialul de dezvoltare al terenului sau scenarii de proiect, vă stăm cu plăcere la dispoziție.
Specificatii
Utilitati in zona
Esti interesat de aceasta proprietate ?